от 5 ₽
Московская область,
Егорьевск
Согласование топографической съемки с эксплуатирующими организациями в Егорьевске и Егорьевском районе Московской области.
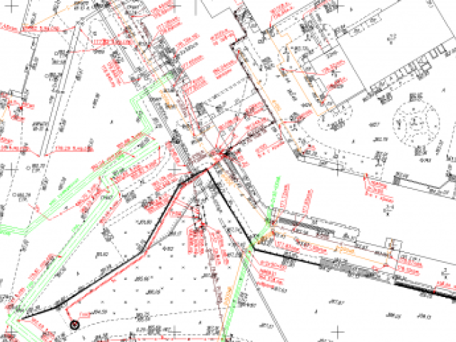
Согласование коммуникаций для юридических и физических лиц с эксплуатирующими организациями: МОЭСК; Газовая служба; Ростелеком; Воентелеком; Теплосети; Водоканал, Спецсвязь, сдача материалов и согласование в МОСГОРГЕОТРЕСТе или в отделе Геонадзора Управления архитектуры и градостроительства (УАИГ) и т.д. При необходимости: ОАО «РЖД», МУПы, УК, садовые товарищества, коттежные поселки, совхозы и т.д.
В Москве и Московской области к основным балансодержателям инженерных сетей относятся:
Мособлгаз или Мосгаз (газопроводы, охранные зоны газа);
МОЭСК (электрические кабели, ЛЭП, охранные зоны электрических кабелей и проводов);
Водоканал (водопроводы, канализация);
Ростелеком (кабели связи, телекоммуникационные вышки).
Результатом согласования является печать эксплуатирующей организации и подпись ответственного лица на геоподоснове с подземными коммуникациями.
Помимо согласований с балансодержателями сетей в Егорьевске и Егорьевском районе, оказываем услугу согласований во всех районах Московской области, в Москве, других субъектах ЦФО (Центрального Федерального Округа).
Согласование коммуникаций для юридических и физических лиц с эксплуатирующими организациями: МОЭСК; Газовая служба; Ростелеком; Воентелеком; Теплосети; Водоканал, Спецсвязь, сдача материалов и согласование в МОСГОРГЕОТРЕСТе или в отделе Геонадзора Управления архитектуры и градостроительства (УАИГ) и т.д. При необходимости: ОАО «РЖД», МУПы, УК, садовые товарищества, коттежные поселки, совхозы и т.д.
В Москве и Московской области к основным балансодержателям инженерных сетей относятся:
Мособлгаз или Мосгаз (газопроводы, охранные зоны газа);
МОЭСК (электрические кабели, ЛЭП, охранные зоны электрических кабелей и проводов);
Водоканал (водопроводы, канализация);
Ростелеком (кабели связи, телекоммуникационные вышки).
Результатом согласования является печать эксплуатирующей организации и подпись ответственного лица на геоподоснове с подземными коммуникациями.
Помимо согласований с балансодержателями сетей в Егорьевске и Егорьевском районе, оказываем услугу согласований во всех районах Московской области, в Москве, других субъектах ЦФО (Центрального Федерального Округа).
11.12.2025